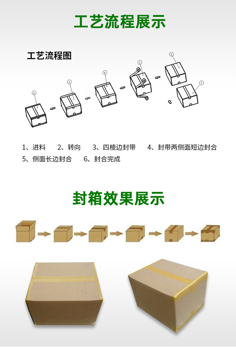
工字封箱機是一種常見的包裝封箱設備,廣泛應用于各個行業的產品包裝過程2。以下是關于它的一些信息:
- 工作原理1:
- 膠帶輸送:工字封箱機通常配備一個膠帶卷筒,通過膠帶輸送裝置(如電動滾輪、皮帶等)將膠帶準確地運送到需要封箱的位置。
- 膠帶張貼:當膠帶到達指定位置后,機器自動啟動貼帶動作。一般由一對貼帶裝置分別位于箱子的兩側,這些裝置具有膠帶池和壓力輥。箱子經過時,膠帶從膠帶池中貼附在箱子的上蓋上,然后通過壓力輥進行緊固。
- 封箱動作:箱子經過貼帶裝置后,封箱動作開始。由一對壓箱側板和一對折箱抓裝置完成,壓箱側板位于箱子的兩側,向內移動使箱子的兩側側板緊密貼合;折箱抓裝置位于箱子的前后兩側,向內折疊使箱子的前后側板緊密貼合,從而將箱子封口。
- 結構組成2:
- 機架:作為整個設備的支撐結構,確保機器的穩定性和牢固性,能夠承受封箱過程中的各種力量。
- 膠帶輸送系統:負責將膠帶從膠帶卷筒輸送到封箱位置,該系統的準確性和穩定性直接影響封箱的質量和效率。
- 封箱裝置:這是工字封箱機的核心部件,包括貼帶裝置、壓箱側板和折箱抓裝置等,完成對箱子的封合操作。
- 控制系統:控制機器的運行,可對封箱速度、膠帶張力、封箱位置等參數進行設置和調整,以滿足不同的封箱需求。
- 優點:
- 高效性:能夠快速、準確地完成封箱操作,大大提高了包裝效率,尤其適用于大規模的生產包裝作業。
- 封箱質量好:可以確保膠帶粘貼牢固、封箱緊密,使箱子在運輸和儲存過程中不易散開,保障了產品的安全。
- 操作簡便:經過簡單的培訓,操作人員即可掌握工字封箱機的操作方法,降低了對操作人員技能的要求。
- 適用性強:適用于各種形狀和尺寸的紙箱,只要在設備的適用范圍內,都能進行有效的封箱操作2。
- 應用場景:廣泛應用于電商、物流、食品、醫藥、電子等行業3。例如,電商行業中大量的快遞包裹需要封箱,工字封箱機可以快速完成封箱工作,提高發貨效率;食品和醫藥行業對包裝的密封性要求較高,工字封箱機能夠滿足這一需求。
- 維護保養6:
- 日常保養:保持機器表面和封箱部位干凈無塵,定期清理膠帶推進輪、切割刀和背板等部位的雜物。
- 月度保養:檢查膠帶彎曲程度、張力控制系統和切割機構,及時調整和更換部件。
- 季度保養:檢查機器各個機構的運行情況、是否有異常聲響,以及馬達和傳動機構的狀態,確保機器的穩定性和可靠性。
- 年度保養:全面檢查和清洗機器的各個零部件,更換磨損、松動或有缺陷的部件


















